군산시청
회계과 재산관리계에서 제작한 "공유재산(유휴부지) 공개"저작물은
"공공누리 제4유형"에 따라 이용 할 수 있습니다.
- 출처표시
- 비상업적 이용만 가능
- 변형 등 2차적 저작물 작성 금지
열람하신 정보에 대해 만족하십니까?

| 물건종류 | 부동산 | ||
|---|---|---|---|
| 물건관리기관 | 군산시 | 연락처 | 063-454-2382 |
| 재산관리관 | 회계과 | 연락처 | 063-454-2382 |
|---|---|---|---|
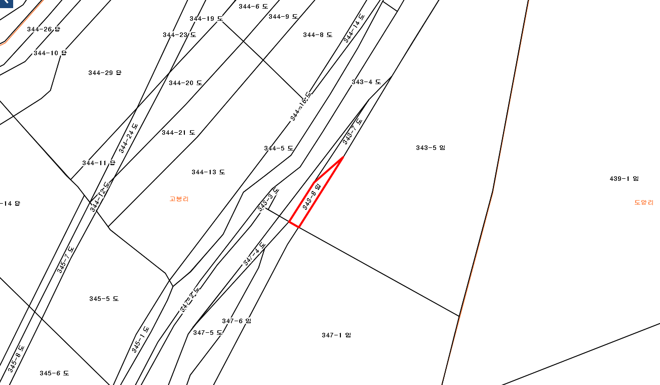
| 소재지 | 전북특별자치도 군산시 성산면 고봉리 343-8 | ||
| 토지 | 건물 | ||
| 지목(공부) | 임야 | 건축연도 | |
| 지목(현황) | 구조형태 | ||
| 지적(면적) | 57㎡ | 건축면적 | ㎡ |
| 공유지분 | / | 층수 | |
| 기타 | |||
| 대부현황 | 미대부 | ||
| 관련정보 |
|
||
| 작성기준일 | 2026-02-10 | ||
군산시청
회계과 재산관리계에서 제작한 "공유재산(유휴부지) 공개"저작물은
"공공누리 제4유형"에 따라 이용 할 수 있습니다.
열람하신 정보에 대해 만족하십니까?







